Haiti - IRMA : Risk of impact from high to extreme intensity - HaitiLibre.com : Haiti news 7/7
 Download the revised decree and electoral calendar, published in the official journal





2nd edition of the Agro-Gastro-Artisanal Fair of the National School Canteen Program in Haiti

CONATEL salutes the remarkable contribution of amateur radio operators to the country

Technology «[...] young girls are shaping the digital future»

Cooperative project for disabled people in Haiti

The Ministry of Tourism salutes the exceptional contribution of the Haitian diaspora


more news


Zapping Haiti of April 26, 2026

37th Session of the Sectoral and Thematic Table on Social Protection in Haiti

The MTPTC is tackling the obstacles in the construction sector in Haiti

Training project in Haiti targeting 5,000 young people from high-risk neighborhoods

The cleanup of Cap-Haitien in Haiti continues through «Konbit Netwayaj»


more news


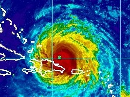
Haiti - IRMA : Risk of impact from high to extreme intensity
07/09/2017 09:30:14

Haiti - IRMA : Risk of impact from high to extreme intensity

The Center of the dangerous Hurricane IRMA category 5 under the SAFFIR-SIMPSON scale, moves to the northeast of the Dominican Republic very early this morning and will approach the northern coast of Haiti in the next hours. The speed of travel continues to increase, it passes at 28km/h, always in the direction West-North-West.

In view of the displacement of the IRMA Hurricane and its destructive force, weather conditions will begin to deteriorate to become very dangerous over the next few hours on the country, particularly in the northeast, north and northern departments which are always under conditions of hurricane winds and those of the Center, the Artibonite and the West under conditions of the Storm winds. IRMA maintains its high rainfall capacity ranging from 200mm to 300mm in places that can cause severe flooding of sludge, landslides. Marine conditions remain dangerous with waves that could reach 4 to 5 m and could cause marine submersion.

Consequently, the SPGRD in conjunction with the DPC and the UHM pass this Thursday, September 7, 2017 at 5 am the warning phase 2 at the level of Red Vigilance (ie risk of impact of intensity to extreme) with heavy rains, gale and maintains the activation of the National Risk and Disaster Management Plan (PNGRD) to threats of heavy rain and strong winds with risks of landslides, high waves, floods throughout the country, particularly in the departments of North, North East, North West, Central and Artibonite.

The SPGRD in conjunction with DPC and UHM recommends that the population settling in the vulnerable zones leave quickly to join to the shelters following the instructions of the local authorities.

SEMANAH, OFNAC and AAN together with the UHM temporarily bans all maritime operations and flights from or to Ports and Airports throughout the northern part of the country until further notice.

See also :

https://www.haitilibre.com/en/news-22033-haiti-flash-irma-415-km-from-cap-haitien-flights-canceled.html

HL/ HaitiLibre



Twitter Facebook Rss
Send news to... Daily news...




Why HaitiLibre ? | Contact us | Français
Copyright © 2010 - 2026
Haitilibre.com