Haiti - IRMA : Haiti less affected but caution is needed - HaitiLibre.com : Haiti news 7/7
 Download the revised decree and electoral calendar, published in the official journal





2nd edition of the Agro-Gastro-Artisanal Fair of the National School Canteen Program in Haiti

CONATEL salutes the remarkable contribution of amateur radio operators to the country

Technology «[...] young girls are shaping the digital future»

Cooperative project for disabled people in Haiti

The Ministry of Tourism salutes the exceptional contribution of the Haitian diaspora


more news


Zapping Haiti of April 26, 2026

37th Session of the Sectoral and Thematic Table on Social Protection in Haiti

The MTPTC is tackling the obstacles in the construction sector in Haiti

Training project in Haiti targeting 5,000 young people from high-risk neighborhoods

The cleanup of Cap-Haitien in Haiti continues through «Konbit Netwayaj»


more news


Haiti - IRMA : Haiti less affected but caution is needed
07/09/2017 18:01:45

Haiti - IRMA : Haiti less affected but caution is needed

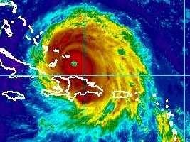
At 5pm, the distinct eye of Hurricane Irma was located near latitude 20.9 North, longitude 71.1 West, or 175km to the north-east of Cap-Haitien, given the trajectory Haiti should be somewhat less affected as the system moves away from the north coast of the country, however rains and wind are expected over almost the entire territory.

The Directorate of Civil Protection (DPC) informs of the beginning of flooding in Ouanaminthe. In Fort-Liberté, roofs of houses washed away by strong winds. The national # 3 between Hinche Cap-Haitien is blocked by the floods of the Ravine Grand Couime. Heavy rains fell on the northeast. It rains on the North and on the Central Plateau. The Northwest received showers this morning.

Irma is moving toward the west-northwest near 16 mph (26 km/h), and this general motion is expected to continue for the next couple of days with some decrease in forward speed. On the forecast track, the eye of Irma should continue to move between Hispaniola and the Turks and Caicos Islands this evening. The core of the hurricane will then move between the north coast of Cuba and the Bahamas during the next day or two.

Maximum sustained winds remain near 175 mph (280 km/h) with higher gusts. Irma is a category 5 hurricane on the Saffir-Simpson Hurricane Wind Scale. Some fluctuations in intensity are likely during the next day or two, but Irma is forecast to remain a powerful category 4 or 5 hurricane during the next couple of days.

Hurricane-force winds extend outward up to 70 miles (110 km) from the center and tropical-storm-force winds extend outward up to 185 miles (295 km).

HL/ HaitiLibre



Twitter Facebook Rss
Send news to... Daily news...




Why HaitiLibre ? | Contact us | Français
Copyright © 2010 - 2026
Haitilibre.com