Haiti - FLASH : Situation report after the passage of IRMA - HaitiLibre.com : Haiti news 7/7
 Download the revised decree and electoral calendar, published in the official journal





2nd edition of the Agro-Gastro-Artisanal Fair of the National School Canteen Program in Haiti

CONATEL salutes the remarkable contribution of amateur radio operators to the country

Technology «[...] young girls are shaping the digital future»

Cooperative project for disabled people in Haiti

The Ministry of Tourism salutes the exceptional contribution of the Haitian diaspora


more news


Zapping Haiti of April 26, 2026

37th Session of the Sectoral and Thematic Table on Social Protection in Haiti

The MTPTC is tackling the obstacles in the construction sector in Haiti

Training project in Haiti targeting 5,000 young people from high-risk neighborhoods

The cleanup of Cap-Haitien in Haiti continues through «Konbit Netwayaj»


more news


Haiti - FLASH : Situation report after the passage of IRMA
09/09/2017 10:10:50

Haiti - FLASH : Situation report after the passage of IRMA

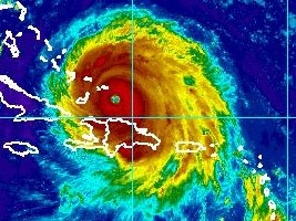
Following the passage of Category 5 Hurricane IRMA on Haiti, the National Emergency Operations Center (COUN) in its bulletin #3 informs us:

16 communes of the departments of the North-East, North, Central, Artibonite and West are partially flooded by runoff and floods of the main rivers of the said departments:

Northeast: Ouanaminthe (severe flooding in places), Fort-Liberté, Caracol, Ferrier and Trou-du-Nord

North: Pilate and Limonade

Center: Hinche and Mirebalais, Lachapelle, Grande Saline, Dessalines, Saint-Marc

West: Cabaret, Tabarre and Thomazeau

Civil Protection and its partners have evacuated people from 10.085 to 59 temporary shelters in 6 departments and thousands went to foster homes;

Northwest: 1,553 people in 11 open shelters;

Grand-Anse: 529 people in 6 shelters (Chambellan and Beaumont);

Northeast: 6,290 people in 14 shelters;

Artibonite: 169 in 4 shelters;

Center: 550 people in 13 shelters; North: 994 people in 11 shelters.

Sections of roads are cut in the center, between Hinche and Thomassique and also Hinche and Cap-Haïtien via Pignon, because of the floods of the Ravine Couine. National road number 3 is divided in two places, at the level of Ravine La Couine and between Saint-Raphaël and Pignon;

The red alert is lifted all over the national territory

In the aftermath of passage of passage of IRMA, which caused flooding, falling trees, damage to agriculture and buildings, the Organization for the Development of the Artibonite Valley alerted the population downstream of the opening on Friday morning of the locks of the dam Cannot, to allow 500 m3 of water to pass, due to the increased flow of the Artibonite river due to the tributaries (Fer-à-Cheval river, Latème river and some gullies);

On Friday, heavy rains stopped early in the morning across the country and weather conditions are gradually returning to normal.

Habitat :

Houses are destroyed or damaged, including roofs blown by winds, at the level of affected departments. Assessments are under way to complement the data on the impacts on the built environment.

Agriculture and Environment :

The Ministry of Environment is in the process of mobilizing civil engineering equipment to facilitate the cleaning and clogging of the gaps.

Flooding of 450 hectares of agricultural perimeters of Jassa by the river bearing the same name. Considerable losses have been recorded in rice, okra, sweet potato, banana, pepper and pea plantations.

The Artibonite River has been in flood since the beginning of the evening of 7 September.

See also :

https://www.haitilibre.com/en/news-22047-haiti-flash-first-partial-balance-of-irma-passage.html

HL/ S/ HaitiLibre



Twitter Facebook Rss
Send news to... Daily news...




Why HaitiLibre ? | Contact us | Français
Copyright © 2010 - 2026
Haitilibre.com