Téléchargez le décret et le calendrier électoral révisés, publiés au journal officiel





iciHaïti - Rep. Dominicaine - Hausse de 22% des exportations vers Haïti au 1er Trimestre

iciHaïti - Sécurité : Fin de mission pour le Kenya

iciHaïti - Ouanaminthe : Lancement du Programme «Konbit Haïti Zéro Déchet»

iciHaïti - Financement : Intervention d’Haïti à l’ECOSOC (video)

iciHaïti - Éducation : Appui psychosocial, pour le bien-être émotionnel des élèves


+ de nouvelles


Zapping Haïti du 28 avril 2026

La BID s’est dit satisfaite des progrès réalisés par le programme PAPAIR en Haïti

Mission de Renforcement de la Protection Sociale dans l’Artibonite et le Nord d’Haïti

MonCash de Digicel en Haïti, annonce un partenariat stratégique avec Capital Bank

Haïti - Des policiers manifestent et sèment la panique à Delmas


+ de nouvelles



Haiti - Tempête «Isaias» : Haïti toujours sous la menace, restez prudent
30/07/2020 17:08:10

Haiti - Tempête «Isaias» : Haïti toujours sous la menace, restez prudent

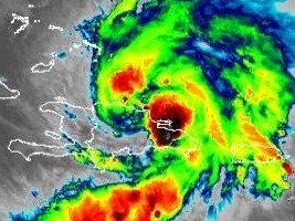
À 17h00 le centre de la tempête tropicale Isaias était situé près de la latitude 19,5 nord et de la longitude 70,6 ouest, soit 35km au Sud-Est de Puerto Plata, 169 km à l'Est du Cap-Haïtien. Isaias se déplace vers le nord-ouest à près de 20 mi/h (31 km/h) et un mouvement vers le nord-ouest avec une certaine diminution de la vitesse d'avancement est prévu au cours des prochains jours. Selon les prévisions, le centre d'Isaias se déplacera près du sud-est des Bahamas d'ici la fin de la nuit. Isaias devrait être près du centre des Bahamas vendredi soir et se déplacer près ou au-dessus du nord-ouest des Bahamas et près du sud de la Floride samedi.

Les vents maximums soutenus sont de près de 95 km/h avec des rafales plus élevées. Un renforcement est prévu le jour suivant environ, et Isaias devrait devenir un ouragan vendredi ou vendredi soir.

Les vents de force de tempête tropicale s'étendent vers l'extérieur jusqu'à 390 km du centre.

Selon l'analyse de trajectoire de plusieurs modèles, le Centre du système devrait traverser la Républicaine Dominicaine au cours de la journée du Jeudi et la région Nord de l'Ile d’Haïti en soirée.

Par conséquent, des averses de pluies orageuses allant de modérées à fortes pouvant atteindre entre 75 et 125 mm dans les plaines et 200 mm en particulier dans les zones montagneuses. Elles sont susceptibles de se produire de rafales de vent soutenues et des conditions de grosses mers sont aussi attendues dans la région Nord et le golfe de la Gonâve dès aujourd'hui à demain.

En conséquence, la Direction Générale de la Protection Civile, le SPGRD de concert avec l'UHM a maintenu l'activation du Plan National de Gestion des Risques et des Désastres avec un niveau de Vigilance Orange (c'est-à-dire Risque d'impacts modérés à forts) sur le pays.

Par rapport aux conditions de mer dangereuses qui seront installées spécialement dans le secteur Nord de l'Ile d’Haïti. Le SEMANAH de concert avec l'UHM annonce l'interdiction temporaire de toutes les opérations de cabotage sur les régions côtières nord et le Golfe de la Gonâve.

Le SPGRD de concert avec l'UHM et la DGPC demande également à la population Haïtienne de faire preuve de prudence et de rester à l'écoute des bulletins météorologiques de l'UHM et des conseils des autorités de leurs zones respectives pour savoir les comportements à adopter à l'occasion du passage de cet évènement cyclonique.

La tempête Tropicale ISAIAS s'apprête à toucher le pays notamment dans sa région Nord. Voici quelques consignes à respecter :

- Restez à l'écoute des bulletins Météorologiques ;

- Restez à l'écoute des consignes émises par les autorités locales ;

- Mettez en lieu sûr vos papiers importants ;

- Préparez votre kit urgence avec de la nourriture et de l'eau pour au moins trois jours ;

- Se préparer à évacuer si vous habitez dans une zone exposée aux risques d'inondation et de glissement de terrain : (bord de mer, ravine, rivière, flanc des montagnes, etc.) ;

- Evitez de traverser les rivières en crues sous aucun prétexte ;

- En cas d'orages et de vent violent, ne vous abritez pas près des fenêtres et en zone boisée ;

- Emonder les arbres tout près de la maison ;

- Descendez tout objet lourd haut placé et non sécurisé : antennes, enseignes et autres ;

- Sécurisez les animaux.

HL/ HaïtiLibre



Twitter Facebook Rss
Envoyer l'article à... Nouvelles du Jour...
Read in English


Réagissez à cet article
Pseudo :
Email :

Votre adresse email ne sera pas divulguée - Commentaire refusé si votre adresse email est fausse


0 caractères saisis. | 1500 caractères restants.
Avant de réagir lisez notre charte de modération


 




Pourquoi HaïtiLibre ? | Contactez-nous | Charte de modération | Privacy policy | English
Copyright © 2010 - 2026
Haitilibre.com -n