|
|
|
| Sécurité : Justice, police, armée, formation, actualité... |

 |
Haïti - FLASH : Insécurité et Covid, les USA mettent Haïti sur la liste des pays a éviter 08/08/2020 09:57:59 |
| L’administration américaine a émis de nouveau une alerte voyageur maximum de niveau 4 pour Haïti... |
| Lire la suite... |
| |

 |
Haïti - Sécurité : Les États-Unis profondément préoccupés par la violence liée aux gangs en Haïti 06/08/2020 09:56:27 |
| Dans une déclaration, l’Ambassade américaine en Haïti se dit profondément préoccupée par les pertes en vies humaines des habitants de communautés marginalisées, liées aux violences armées des gangs... |
| Lire la suite... |
| |

 |
Haïti - Sécurité : Recrudescence de la violence et impuissance de la PNH 05/08/2020 10:44:36 |
| Mardi, Rockfeller Vincent, le nouveau Ministre de la Justice et de la Sécurité Publique, a reconnu une recrudescence de la violence ces trois derniers jours... |
| Lire la suite... |
| |

 |
Haïti - FLASH : Affrontement entre haïtiens et des militaires du CESFRONT à la frontière 04/08/2020 10:59:26 |
| Lundi une vive tension a régné à la Frontière de Malpasse... |
| Lire la suite... |
| |

 |
Haïti - Sécurité : La PNH libère 4 personnes enlevées 02/08/2020 09:11:58 |
| Vendredi en début de soirée, grâce à des informations fournies par la population, des policiers affectés au commissariat de Gressier... |
| Lire la suite... |
| |

 |
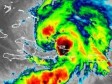
Haiti - Tempête «Isaias» : Haïti toujours sous la menace, restez prudent 30/07/2020 17:08:10 |
| À 17h00 le centre de la tempête tropicale Isaias était situé près de la latitude 19,5 nord et de la longitude 70,6 ouest, soit... |
| Lire la suite... |
| |

 |
Haiti - Tempête «Isaias» : Bulletin de 14h00, Haïti se prépare 30/07/2020 14:50:48 |
| À 14 heures, le centre de la tempête tropicale « Isaias » était situé à 18,9 degré de latitude Nord et 69,8 degré de longitude Ouest, soit 45 km au Nord-Est de Santo Domingo et 267 km au Sud-Est du Cap-haïtien... |
| Lire la suite... |
| |

 |
Haïti - Sécurité : Sabotage et vandalisme à l’EDH 30/07/2020 09:50:24 |
| En début de semaine, Rockfeller Vincent le nouveau Ministre de la Justice a condamné avec la plus grande rigueur les attaques ciblées contre les locaux et les biens de la compagnie d’État Électricité d’Haïti (EDH), affirmant... |
| Lire la suite... |
| |

 |
Haïti - Sécurité : Rationnement drastique du courant électrique et conséquences 29/07/2020 09:39:22 |
| Me Renan Hedouville, le Protecteur du Citoyen d'Haïti constate que le pays est plongé depuis plusieurs semaines dans un rationnement drastique du courant électrique… |
| Lire la suite... |
| |

 |
Haïti - Sécurité : Plan National de Gestion des Risques et des Désastres 26/07/2020 10:29:40 |
| Le Gouvernement haïtien a approuvé récemment le « Plan National de Gestion des Risques et des Désastres 2019-2030 » résultat d’un long processus participatif, inclusif et multisectoriel débuté il y a 4 ans... |
| Lire la suite... |
| |
|
|
|
|