|
|
|
| Security : Justice, police, army, training, news... |

 |
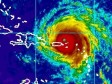
Haiti - FLASH : IRMA 415 km from Cap-Haitien - flights canceled 07/09/2017 05:58:04 |
| This morning at 5:00 am, the center of Cat. 5 Hurricane Irma was located near latitude 20.0 North, longitude 68.3 West, or 160 km north of the eastern tip of the Dominican Republic and 415 km north-east of Cap-Haitien... |
| Read more... |
| |

 |
Haiti - FLASH : Notice to Canadian Travelers (IRMA) 07/09/2017 05:38:27 |
| Global Affairs Canada advises against all travel to the north coast of Haiti, from the border of the Dominican Republic to Le Mole St. Nicholas, due to Hurricane IRMA... |
| Read more... |
| |

 |
Haiti - IRMA : First impacts very early Thursday morning 06/09/2017 17:15:05 |
| The National Meteorological Center (CNM) informs that the first impacts of the system are expected very early on Thursday morning with sustained gusts, widespread downpours and a stormy sea over the northern region of the country... |
| Read more... |
| |

 |
Haiti - FLASH : General Mobilization face the IRMA threat 06/09/2017 10:52:31 |
| Michel-Ange Gédéon Director General of the PNH informs all police officers of the 10 Geographical Departments, that they must return to their posts as soon as possible... |
| Read more... |
| |

 |
Haiti - FLASH : IRMA in category 5, Haiti under RED ALERT 06/09/2017 06:26:24 |
| « [...] The Government of the Republic has decided to trigger the biggest alert level the Red Alert from Wednesday 8 am on the entire territory,» declared Prime Minister Jack Guy Lafontant... |
| Read more... |
| |

 |
Haiti - Security : An unknown seismic fault under the Central Plateau... 05/09/2017 08:45:15 |
| The magnitude 4.3 earthquake on the Richter scale which occurred on Saturday in the Central Plateau... |
| Read more... |
| |

 |
Haiti - FLASH : IRMA in category 4, Haiti in yellow pre-alert 05/09/2017 06:31:44 |
| This Tuesday morning Hurricane IRMA with maximum sustained winds at close to 150 mph (240 km/h) and higher gusts went into Category 4 on the Saffir-Simpson hurricane wind scale. IRMA could reach Haiti's north coast by... |
| Read more... |
| |

 |
Haiti - Security : The police sometimes work in miserable and dilapidated premises... 04/09/2017 10:57:23 |
| Following visits to several national police stations and sub-police stations, the RNDDH is appalled by the miserable working conditions in which our Policemen, sometimes housed in dilapidated buildings, with dirty walls and rainbow roofs... |
| Read more... |
| |

 |
Haiti - FLASH : Balance of the Earthquake in the Central Plateau 04/09/2017 06:48:59 |
| The earthquake caused a panic at the maternity of Belladère, without causing any casualties. In the Center, 6 houses and the National School of Deny were also... |
| Read more... |
| |

 |
Haiti - FLASH : IRMA returns to category 3 03/09/2017 08:19:20 |
| This Sunday morning the major hurricane IRMA was located at 18.0N 47.5W, 1.490 km east of the Caribbean arc and 2.190km south-east of the island of Hispaniola... |
| Read more... |
| |
|
|
|
|